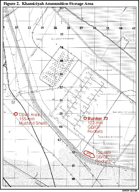
Central Intelligence Agency, "CIA Report on Intelligence Related to Gulf War Illnesses," August 2, 1996, p. 2.

| First Page | Prev Page | Next Page | Back to Text |